Wednesday 8th October

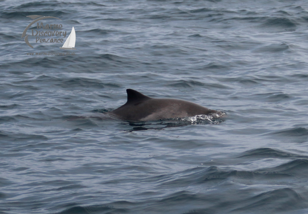
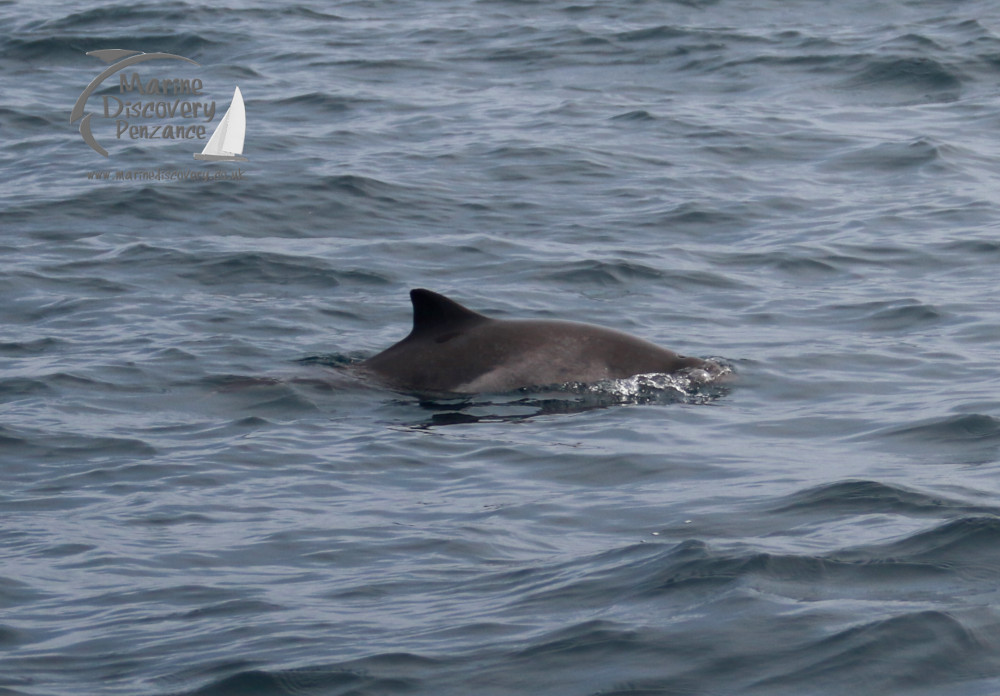
It was a murky day today but the wildlife brightened everything up. We started at the island watching seals start to haul out, then as we went south, we appeared to motor into a cloud which was pretty persistent for about an hour. We watched some fish boiling away at the surface and some kittiwakes fluttered over and started feeding. For small gulls they can certainly catch some sizeable fish. Heading offshore, it seemed like the polar opposite of yesterday morning – there was very little around part from the odd gannet. However patience and knowing where to look paid off, and we started up picking up groups of birds in the mist – a juvenile puffin, flocks of razorbills, and curiously a single shearwater which followed us very persistently for about ten minutes. We never chum for birds, but it was acting as though we were. We finally found a large-ish pod of common dolphins, though they were rather avoidant. However today was one of those days when the porpoises decide to swap personalities with the dolphins, and a really large group of them put on a magical show! The mist lifted, the sun started to shine, the gannets gathered and suddenly we were SURROUNDED by porpoises. They were hunting busily, and when they finished that, they swam round the boat, repeatedly surfacing. There were scores of them in every direction, then just as suddenly, they melted away. Very cool! Then heading back into shore – very late now – we saw a bluefin tuna breaching several times near Newlyn. A couple of other notable bird species included and Arctic skua and a Sabine’s gull
Three spaces currently remain on tomorrow morning’s Ocean Discovery trip.