Skip to primary navigation Skip to content Skip to footer
Back to Sightings Blog

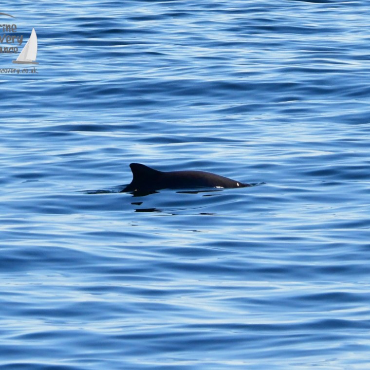
Tuesday 23rd September

 

Bluefin tuna feeding

We had the luxury of a glassy calm morning today. The calm conditions allowed us to spot multiple groups of common dolphins and harbour porpoises. We also saw a huge variety of seabirds including some more unusual sights: sooty shearwaters, great shearwaters, Balearic shearwaters and grey phallaropes. There were lots of grey seals on the island as well. In the afternoon the breeze had built so we could sail during our Bay Discovery. We watched seals in the water on the way out and found a feeding event with massive bluefin tuna and lots of common dolphins.